泰克MSO56示波器Tek-Fastframe快帧测试功能软件
泰克示波器的 Fastframe 快帧测试功能以指定采样率触发采集并填充每一帧,只捕获需要的波形部分,能在长时间内以高采样率捕获信号,解决了示波器在存储深度与采样率之间的妥协问题。

软件兼容Tektronix MSO4/5/6系混合信号示波器,是基于示波器的Fastframe测试功能进行扩展开发,便于更好的在线上PC端进行数据采集和数据分析。
支持采集控制和数据存储功能,支持波形放大、光标测量、波形回放等功能。
支持同屏或分屏显示,最多可设置100个同屏或者分屏波形(可强调)
支持数据、示波器截图、绘图截图保存;支持历史数据查询,波形文件导入,波形回放功能。
支持局部波形放大分析、光标测量功能。
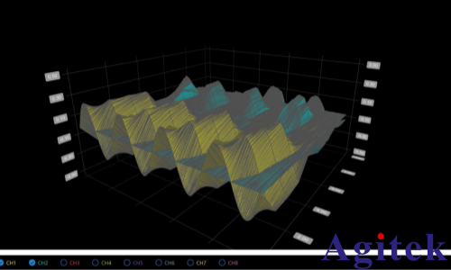
支持时间趋势图、3D图表功能;支持预览波形3D图。


功能 | 软件 | 功能 | 软件 | 功能 | 软件 |
仪器连接 | ✔ | 同屏叠加显示 | ✔ | 波形放大分析 | ✔ |
手动/自动存储 | ✔ | 分屏平铺显示 | ✔ | 连续回读 | ✔ |
自定义存储路径 | ✔ | 数据绘图 | ✔ | 回读间隔设置 | ✔ |
波形导入回放 | ✔ | 示波器截图 | ✔ | 显示波形数量配置 | ✔ |
普通模式 | ✔ | 波形截图 | ✔ | 3D图表功能 | ✔ |
Fastframe模式 | ✔ | 时间趋势图 | ✔ | 一键清屏 | ✔ |
光标测量 | ✔ | 画图设置 | ✔ | ✔ |
该系统由安泰测试专注于自动测试设备(ATE)系统集成的专业团队设计,具备深厚的技术积累,能够将各类复杂的 ATE 硬件设备与定制化软件高效整合,为电子制造、半导体等行业提供一站式测试解决方案。如果您有软件定制需求,欢迎联系安泰测试!
技术支持













关注官方微信
